Demodectic Mange history, but recent skin scrape shows negative while skin says otherwise?
Hello,


















My name is Victoria, and my 8 month old bull terrier's name is Zsasz. I'm in DIRE need of advice on what's happening because his veterinarian (whom I've read/heard nothing but glowing reviews of) is brushing off whatever ailment is attacking my Bubby's skin. I know no one here is probably a vet, but I don't think I only need a vet's opinion. I think I need a seasoned bull terrier owners opinion because I don't know where to turn, or what to do, and I don't think his licensed veterinarian does either.
History:
He first started showing signs of strange rust colored patches of hair, with little dark colored specks that looked like little blackheads in mid-April. Which I simply assumed was dirt from (the then 4 month old puppy) playing outside and rolling around in the grass. Especially since when I would give him a bath the dark colored specks would wash away. I did a little research in this time and read that adding apple cider vinegar to his water could help whatever was going on. So I tried this approach, much to his dislike, with no change in the patches. But instead gradually turning into larger patches with significant hair loss, and even more little blackhead-like specks in areas. This is when I knew something was terribly wrong.
On May 10th I took him to a vet where he was skin scraped positive for Demodectic Mange, and immediately began Mitaban dips. That vet then also prescribed Bravecto (once a month) due to recent studies finding that this helped maintain demodectic mange flare-ups. From then on (May 20th, June 3rd, June 17th, and June 28th) he would go to a new different vet for Mitaban dips with little improvement each time, only OUTRAGEOUS amounts of hair loss. On the second to last visit with the new vet, he was prescribed an antibiotic as well in hopes to cut down the amount of dips remaining. Then just 9 days later at his last dip he looked a million times better, and skin scrap showed he was clear of the mites.
Below are photos taken on May 26th, days after his second Mitaban dip, but just before the antibiotics were introduced.





Current:
But now exactly a month later, July 27th, I took him back to the vet because he was showing all the same early signs as before of the mites; increased hair loss, scratching, biting/licking, and rust colored patches in different areas than before. However his skin scrape showed negative, and the vet made it a point to say that his skin looked "great". I assure you his skin did not look great then, and has gradually gotten worse with his hair loss getting as bad as it was the first time I suspected something was wrong. Instead all they did was prescribe him an antibiotic (Amoxicillin) for his sneezing, which did nothing for his skin, as suspected.
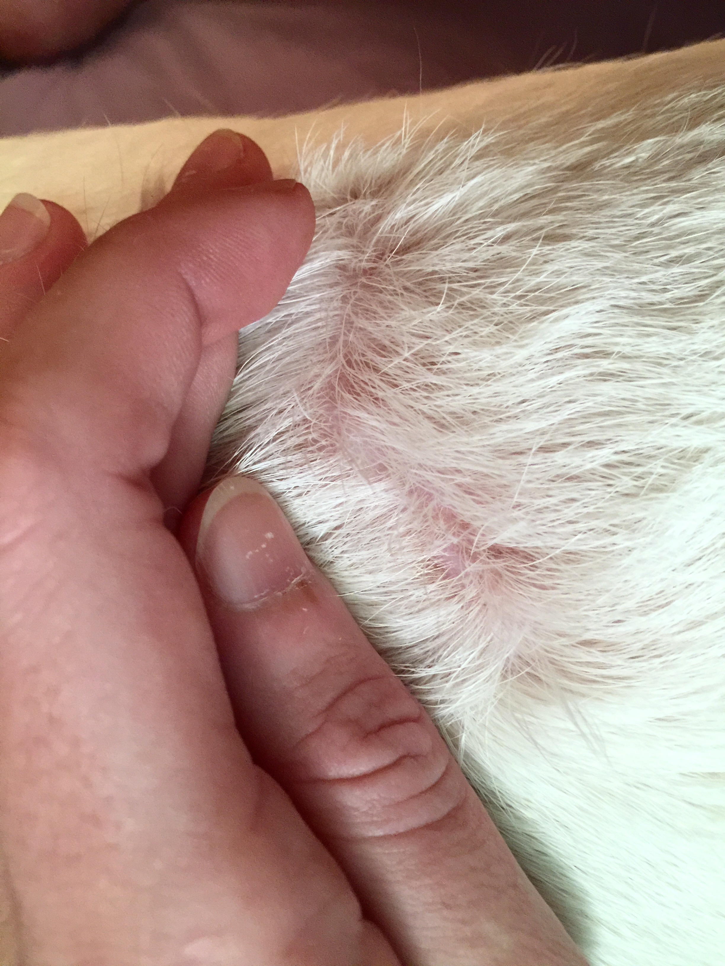
Today, August 12th, I've taken some photos of the areas that are concerning with hopes someone can tell me anything about what it looks like or could be.








Other:
- He's on the same puppy food as he was when we received him, Diamond Naturals - Small breed puppy. From what the breeder told us, his mother was also on Diamond Naturals brand. The breeders as well as the two veterinarians he's seen have said that this food is one of the best on the market. I made it a point to ask the second/new vet if his food could be the cause, and they said no, that things like stress and weather change can cause the mites to bite. However, I've read otherwise; Another reason I think I the need advice of a bull terrier owner just as much as a vet.

- He doesn't get table scraps, or any human food. He drinks tap water, occasionally bottled water if any unclaimed bottles linger in the fridge. So he's not being neglected or abused, like the first vet I went to insinuated... thus the reason we found a new vet.
- In the past I've bathed him in, Hartz Puppy shampoo from Walmart, AromaCare coconut conditioner and Hylyt shampoo with essential fatty acids for dry/sensitive skin from PetCo. Then once I thought maybe these were the cause, I began bathing him in gold Dial antibacterial bar soap.




- We're located in southern Indiana, in a valley where summers are always incredibly humid, and seasons change in the matter of a day. Zsasz loves to play outside and roll around in grass, but I've noticed that when he comes in from playing his tummy is broken out in red. It's never raised, or has texture to it, just red. He never acts like it hurts or bothers him, and it goes away by the next morning. But it did cause me to ask his new vet if the weather could be the irritant? They basically said that as far as we are into the summer the mites have subsided, and that the red tummy was more likely an allergy to grass and to give him Benadryl twice a day. This approach didn't completely solve the problem, but it definitely toned the redness down when he would come in from playing. However it has had no effect on the patches that I was curious about on the recent July 27th visit.
As I've said I don't know what to do, or who to ask at this point, and I can't sit back and let my Bubby suffer. I just hope my excessive amount of information can trigger a solution from someone who may have experienced this before.
Thank you for the read,
Zsasz and Victoria
Cheek NO flash.jpg
3264 x 2448 - 2M
Cheek WITH flash.JPG
3264 x 2448 - 2M
Elbow NO flash.jpg
2448 x 3264 - 2M
Jaw NO flash.jpg
3264 x 2448 - 2M
Jaw WITH flash.JPG
3264 x 2448 - 2M
Throat NO flash.jpg
3264 x 2448 - 2M
Loin NO flash 1.jpg
2448 x 3264 - 2M
Loin NO flash 2.jpg
2448 x 3264 - 2M
IMG_7996.JPG
3264 x 2448 - 2M
IMG_7997.JPG
3264 x 2448 - 2M
IMG_7998.JPG
2436 x 2598 - 1M
IMG_7995.JPG
3264 x 2448 - 2M
IMG_7999.JPG
3264 x 2448 - 2M
31BmmqsXmjL.jpg
164 x 496 - 14K
41FTPYC4yIL.jpg
196 x 500 - 23K
448.jpg.png
177 x 445 - 142K
2401_dial-4-oz..jpg
399 x 239 - 117K
5054630.jpeg
242 x 396 - 21K
FullSizeRender.jpg
1920 x 1080 - 309K
Comments
First of all, I can sadly not tell you what exactly the problem is. But I can tell you some things you can do.
On a side note: As you already have noticed at this point, skin scrapings of mites do not always display positive results, even though mites may still be present. Also mites are very persistent inhabitants, which makes diagnosis and treatment pretty laborious in general.
Just as you do at this point I would probably start asking myself, if it could be something else. But the truth is, it could very well still be the mites.
If his belly gets red on the grass, I would avoid any contact with the grass or shower him right after he went on the grass.
Our dog is probably reacting to pesticides on our lawn (sadly we have no influence on what’s being sprayed). So, even if I shower her afterwards, she WILL start biting her feet. The result is that meanwhile I do no longer allow her on our lawn AT ALL, which solved that problem for us.
Immune system
The most important thing to do is support his immune system. We have that topic over and over here. Somehow it is something obviously rarely discussed by vets, who often mainly focus in the ailment itself and not at the big picture.
If he is not on a supplement right now, I would suggest to get him on Nupro or NuVet.
http://www.nuvet.com/
http://www.nuprosupplements.com/
Note: This will NOT HEAL or solve the problem. BUT it does something else that is really important!
Supporting the immune response is like arming your Bullie against skin issues and other ailments. So his body is just better prepared to deal with those things and breakouts do not immediately overwhelm his entire system.
More help
Another help from the inside is salmon oil.
https://www.amazon.com/Grizzly-All-Natural-Supplement-Pump-Bottle-Dispenser/dp/B0002ABR6E/ref=sr_1_1?ie=UTF8&qid=1471096144&sr=8-1&keywords=grizzly+salmon+oil
It contains omega 3 fatty acids, acts anti-inflammatory and balances the skin texture. It’s also a light natural sun screen for the dog.
It does nothing against mites, but it helps dry spots on the skin and a balanced overall skin texture in general.
For dry spots you can also use Virgin (unrefined) Coconut oil as a rub/ cream. It does nothing against mites, but has anti-inflammatory abilities and helps the skin heal.
You can also feed one teaspoon full of it daily. Your dog will love it!
As for the ACV - try mixing it into a spoon full of cottage cheese for example (if he tolerates dairy products), where the smell and taste are not as present. Because it is actually good stuff that also supports the immune system.
I mix it into the fresh food of my dog, and she loves it.
As your dog has been on antibiotics, it is also a good idea to make sure his gut flora has a chance to recover from that. While antibiotics are strong against microorganisms when secondary infections occur in open sores from the scratching, they are often harsh on the guts.
Our guts are the “headquarters” of our immune system which is why it is important that everything is ok there.
Probiotics out of a box (formulated for DOGS!) OR yogurt with living cultures/ cottage cheese (if the dog tolerates dairy products) are all great options.
Benadryl
DOES NOT HEAL! It is an anti-itch medication that does only help as long as it is taken. The results in different dogs vary largely from working perfectly to doing nothing at all. So, just to make sure, this is only to relieve temporary itch. It's not a useless or bad medication, BUT it cannot do anything against hair loss, mites or infected skin.
Body Care
Soothing the itch however, is a good idea, because the more he bites an scratches himself the higher are the chances of secondary infection. And this often is the final stroke that completely crushes an already impaired immune system and often the point when things escalate.
On your pictures things do by far not look as bad as you have described them to be, honestly. I have seen far worse images and experienced much worse in reality with my own last Bull Terrier.
But I am only mentioning it to let you know that it actually could be much worse. Right now you still seem to be on a good path.
If you notice open sores, you should use disinfectant wipes or washes (for dogs) to reduce the risk of secondary infection.
You can bathe the dog with gentle dog shampoo and conditioner once a week or as directed by your vet.
I personally would get rid of Walmart products.
And PLEASE especially on a dog that already has skin problems NEVER use products formulated for humans on his skin!!!
These products do not have the correct ph that your dog’s skin needs, and their use only causes additional dryness of the skin.
This product line is GREAT! and even used by groomers:
https://www.amazon.com/s?field-keywords=natures's+specialties
They have all kinds of different formulas for different skin and coat types. Shampoos and conditioners. They last really long, because you always only need a very small amount.
If you want to use a medicated shampoo for disinfection, this is one option:
https://www.amazon.com/gp/product/B0078LOU3W/ref=oh_aui_search_detailpage?ie=UTF8&psc=1
You can also make Epsom salt baths for disinfection or use the AVC externally for that. But be careful - both substances sting in open sores.
Food
Although I do not trust the Diamond brand, I do see that this food is among the better rated ones.
In your situation I would probably still change foods and try to find a GRAIN-FREE brand.
This is something said without any scientific basis, just confirmed by experience: While grains are rarely really the trigger for allergies themselves, in some dogs they really seem to give the digestive system a hard time.
Dogs with skin issues that are switched from food containing grains to grain-free options often show improvement in digestion and skin pattern after a short while. Provided, of course, that the new food does not include any ingredient the dog actually reacts allergic to.
While in the course of evolution the dog’s digestion system seems to have adjusted and is now able to process an ingredient that originally was never part of the nutrition of their ancestors, some dogs even today do not seem to be “quite as adjusted”.
To me it feels like the main reason may be the excessive use of grains as cheap fillers. In small amounts they would probably not make any problems.
Kibble brands I can recommend are:
- Victor Dog food
- Sammy Snacks
- Canidae
- Dr. Tim’s Natural
- Performatrin Ultra
There are more, others may be able to recommend.
Check back on every single product on dogfoodadvisor.com and make your own decision. For comparison it always also helps to browse through reviews on Amazon. The food should always have higher ratings on both platforms. On Dogfoodadvisor the ratings are a classification made by that website, while on Amazon the ratings are customer reviews.
If I were you, I would also try to at least partly get my dog on freshly prepared or fresh frozen food. It is just SO MUCH better for their health than that pressed factory stuff and does not cost a lot more than that bag of Diamond food.
Other than that I can only recommend to switch vets another time, if you are not satisfied with what the current vets tell you.
They have been using the standard protocol of tests and treatment for mange. So, if it IS indeed mange, I can not see that they have done anything wrong regarding this particular problem.
Such problems DO take time. Sadly months are completely normal. So are relapses.
Which makes it even more important that your little pal’s skin and immune system get some help, too.